Với quyết định giảm 0,25% lãi suất của Cục Dự trữ Liên bang Mỹ (Fed) và có khả năng còn giảm thêm, đã làm giảm áp lực tỷ giá, giúp lãi suất trong nước duy trì thấp...
Cựu Tổng giám đốc Công ty Vàng bạc - Đá quý Sài Gòn (SJC) Lê Thúy Hằng và 15 đồng phạm bị cáo buộc lập khống hồ sơ, chứng từ, nâng khống định mức hao hụt và tạo lỗ “ảo”, qua đó chiếm đoạt hàng chục tỷ...
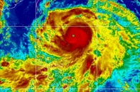
Phó thủ tướng Trần Hồng Hà vừa ký Công điện số 170/CĐ-TTg ngày 22/9/2025 của Thủ tướng Chính phủ chỉ đạo các bộ ngành, địa phương chủ động ứng phó với siêu bão Ragasa
Kể cả khi nguồn cung tăng lên, mức giá chung cư Hà Nội vẫn khó lòng giảm xuống. Do đó, nhiều nhà đầu tư và người mua ở thực đã tìm tới những tỉnh thành khác để...
Hút thuốc lá là một trong những nguyên nhân hàng đầu gây ra các bệnh nguy hiểm, trong đó bệnh phổi tắc nghẽn mạn tính (COPD) và nhiều loại ung thư được xem là hệ quả phổ biến và nghiêm trọng nhất.
Xuất khẩu thủy sản tăng tốc mạnh mẽ, mở ra hy vọng đạt 10 tỷ USD trong năm 2025. Tuy nhiên, nguy cơ sụt giảm trong năm 2026 đang hiện diện, đòi hỏi doanh nghiệp có giải...
Cơ quan điều tra tiếp của Việt Nam đã nhận Hồ sơ yêu cầu điều tra chống lẩn tránh biện pháp chống bán phá giá đối với sản phẩm thép cán nóng (HRC) khổ rộng lớn hơn 1.880mm và nhỏ hơn 2.300mm xuất xứ từ Trung...
Trong các dự án khởi công, khánh thành, Dự án nâng cấp, mở rộng Quốc lộ 91 đoạn Km0 - Km7 nhận được sự quan tâm đặc biệt nhân dân do đây là tuyến giao thông huyết mạch, cửa ngõ chiến lược của TP. Cần Thơ.
Trung tâm y tế quận Đống Đa đã bố trí 10 bàn lấy mẫu với gần 100 nhân viên y tế túc trực, dự kiến lấy mẫu xét nghiệm Covid-19 cho 2.009 người về từ vùng trong ngày 19/2.
Trước diễn biến phức tạp của dịch bệnh Covid-19, TP.Hà Nội tổ chức duy nhất một điểm bắn pháo hoa tầm cao chào đón năm mới Tân Sửu 2021 tại Công viên Thống Nhất.
Bộ Nội vụ yêu cầu các tỉnh, thành phố khẩn trương rà soát, sắp xếp hệ thống đơn vị sự nghiệp công lập, gửi phương án về Bộ trước 25/9. Đây là bước chuẩn...
Ngày 21/9/2025, Vietjet chính thức nhận bàn giao tàu bay Boeing 737-8 đầu tiên trong đơn đặt hàng 200 chiếc trị giá 32 tỷ USD với Boeing, nhà sản xuất tàu bay hàng đầu thế giới.
Tập đoàn bán lẻ Costco (Mỹ) mong muốn hợp tác chặt chẽ hơn với các nhà cung ứng hàng hóa Việt Nam, đem đến các sản phẩm phù hợp với thị trường thuộc các lĩnh vực dệt may, da giày, đồ gỗ, thủy sản, hạt...
Tại Việt Nam, virus hợp bào hô hấp (RSV) được ghi nhận là nguyên nhân hàng đầu gây viêm đường hô hấp cấp tính ở trẻ nhỏ, đặc biệt là nhóm trẻ dưới 1 tuổi.
Tỉnh Khánh Hòa phấn đấu đến năm 2030 trở thành thành phố trực thuộc Trung ương; là trung tâm du lịch biển quốc tế; trung tâm dữ liệu của quốc gia và khu vực; tăng trưởng kinh tế đạt hai con số, là cực tăng...
Công ty cổ phần Chứng khoán VNDirect (mã VND – sàn HoSE) công bố tài liệu Đại hội đồng cổ đông bất thường năm 2025, Đại hội diễn ra ngày 10/10 tại Hà Nội.